Our Services
Bascom & Benjamin, LLC's project experience extends from the concept phase through construction of the project with direct involvement at all levels. We have been retained to investigate problems involving boundary disputes, historic highways, structures, groundwater and stormwater drainage, sewage disposal, road safety and building code compliance for legal disputes and court testimony.
Our office is fully computerized with networked computer workstations with full AUTOCAD capability and the latest state-of-the-art surveying and engineering software. Besides the principal partners, we have a staff of experienced surveyors that allows us to work multiple projects with ease.
LAND SURVEYING
Property/Boundary Surveys
- Small or large lots, 1/4 acre to over 100 acres
- Staking property lines
- Lot corner recovery
- Dispute resolution, expert witness, boundary disputes
- Complete A-2 mapping
FEMA Elevation Certificates
Topographic Surveys
- Base mapping of existing conditions
- Coordination of aerial photogrammetry for large scale projects
As-Built's
- A-2 building location maps (Foundation as-built's)
- Zoning location map (ZBA/Wetlands/Planning & Zoning Applications)
- Improvement location maps (Road/Storm/Sewer as-built's)
Land Record Research
Easements
- Driveway & drainage
- Power & utility
Wetlands Location
- Coordinate with local soil scientists to flag your project
- Field locate wetland flags in relation to your boundary
Subdivision Map
- Planning/concepts
- Lot design
- Complete subdivision applications
- Zoning/wetlands presentation
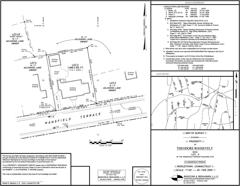
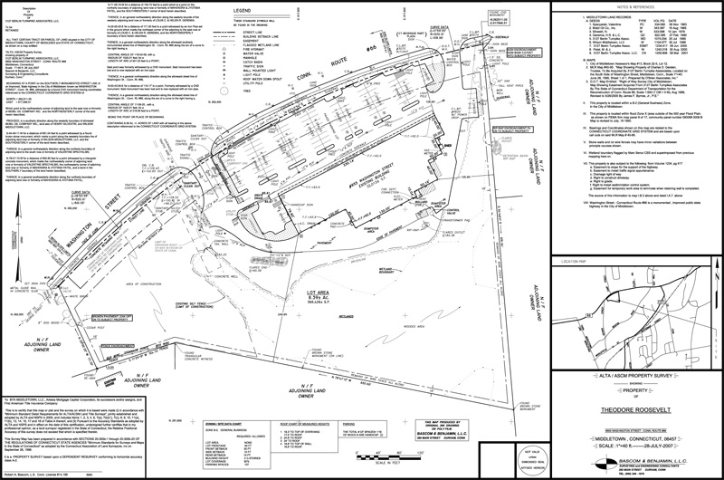
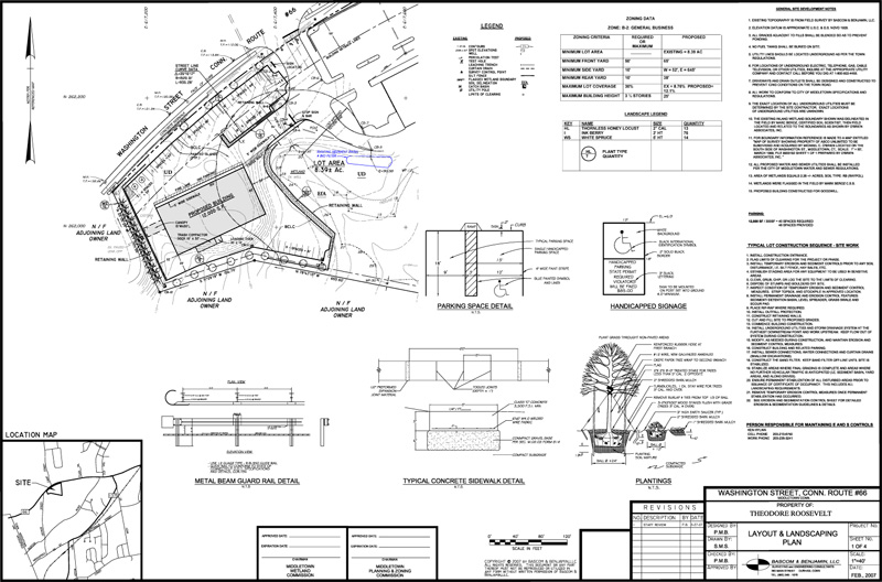
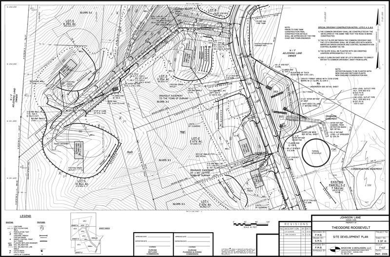
click here for example maps:
back to top
SITE/CIVIL ENGINEERING
- Septic system design and soil testing
- Subdivision design
- Site development plans: Residential, Commercial, Industrial
- Permitting: Local, State, Federal
- Road design
- Water resources management: Stormwater Management, Watershed Analysis, Best Management Practices
- Gravel quarry site design
- Stream restoration design
- Municipal engineering services
- Recreational facilities: Soccer, Football & Baseball Fields, Running Tracks, Golf Course Consulting Services
- Public improvement bond and cost estimates
- Expert witness services
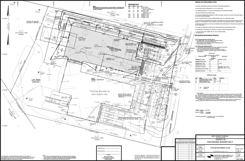
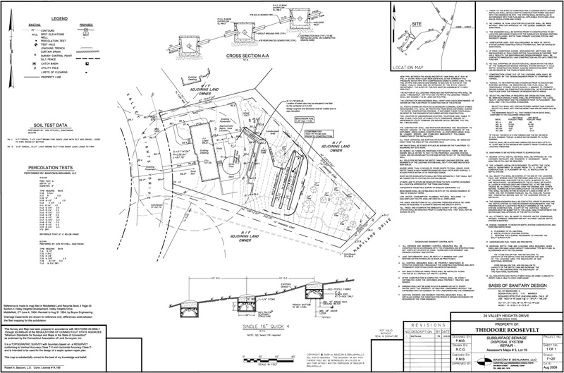
click here for example maps:
LAND PLANNING
- Estate planning
- Site feasibility analysis
- Conceptual design: Residential, Commercial, Industrial
- Master plan development
- Municipal, Planning & Zoning, Wetlands and Zoning Board of Appeals
CONSTRUCTION SERVICES
Stakeout
- Roads, drainage, utilities
- Septic systems, sanitary sewers
- Buildings, commercial and residential
- Parking lots
- Athletic fields, running tracks
- Foundations, caissons, pilings
- Retaining walls, fences
- Erosion controls, silt fence, wetland limits
As-Built's
- Buildings, storm drainage, sanitary sewers
- Bolt patterns
- Mapping (see as-built's)
- Engineering, construction inspection
- Budgeting
- Bond estimates
back to top